Web Analytics
سوق البحرين
بحث
بحث
سوق البحرين
للبيع أرض في باربار 1
للبيع أرض في باربار 2
Default Name
  masaralmusta
المنامة
39993932

راسل المعلن

للبيع أرض في باربار - المنامة

للبيع أرض في باربار
قريبة من اوكسجين جم
قريبة من مدرسة الدراز الاعدادية للبنين
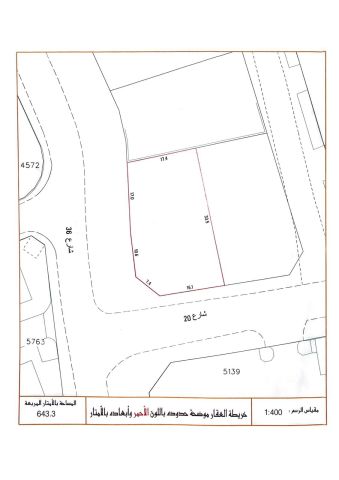
تقع على شارعين وزاوية
التصنيف RG حدائقي
المساحة 643.3 مترمربع
المطلوب 23 دينار للقدم
السعر الاجمالي 159,263 ألف دينار .
36459593 نزار الصغير
39993932 عبدالفتاح حسن
مسار المستقبل للعقارات
مطلوب جميع العقارات من المالك مباشرة.
@masar.bh

تنبيه! لا تدفع أي مبلغ حتى تحصل على منتجك كاملا غير منقوصا! سوق العرب غير مسؤولة عن الإعلانات المعروضة!

إعلانات المنامة


للبيع مساحة ماستر عقارات دينار المسا مطلوب ESTATE المساح المساحة بناية about السعر furnished وموقف

الرئيسية عقارات للبيع المنامة في البحرين